
6 สิงหาคม 2566 เว็บไซต์ราชกิจจานุเบกษา เผยแพร่ ประกาศกรมศิลปากร เรื่องกำหนดเขตที่ดินโบราณสถาน โดยระบุ ตามที่กรมศิลปากร ได้ประกาศขึ้นทะเบียนโบราณสถานวัดปรินายกวรวิหาร ถนนวัดปรินายก แขวงบ้านพานถม เขตพระนคร กรุงเทพมหานคร
ดังปรากฏตามประกาศกรมศิลปากร เรื่อง กำหนดบัญชีโบราณวัตถุสถาน ลงวันที่ 18 พฤศจิกายน 2492 โดยประกาศในราชกิจจานุเบกษา ตอนที่ 64 เล่ม 66 หน้า 5281 วันที่ 22 พฤศจิกายน 2492 แต่มิได้กำหนดเขตที่ดินโบราณสถาน นั้น
อาศัยอำนาจตามความในมาตรา 7 แห่งพระราชบัญญัติโบราณสถาน โบราณวัตถุ ศิลปวัตถุ และพิพิธภัณฑสถานแห่งชาติ พ.ศ. 2504
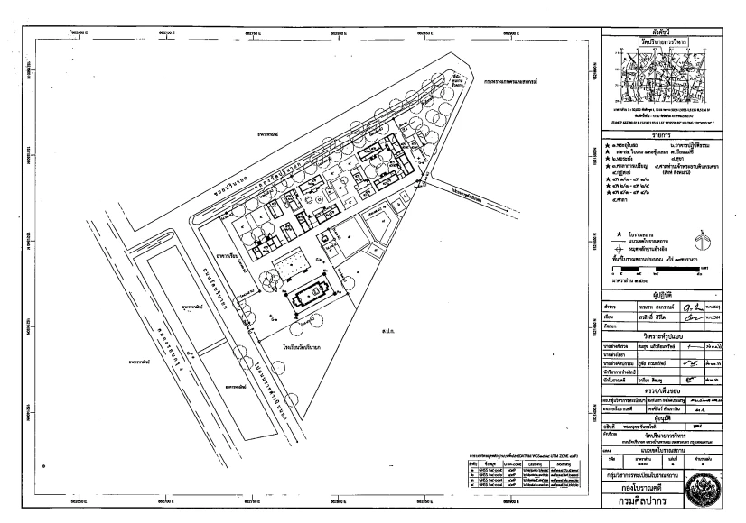
กรมศิลปากร จึงประกาศกำหนดเขตที่ดินโบราณสถาน วัดปรินายกวรวิหาร ถนนวัดปรินายก แขวงบ้านพานถม เขตพระนคร กรุงเทพมหานคร ให้มีพื้นที่โบราณสถาน 4 ไร่ 19 ตารางวา รายละเอียดดังปรากฏตามแผนผังแนบท้ายประกาศนี้
ประกาศ ณ วันที่ 19 พฤษภาคม พ.ศ. 2566 นายพนมบุตร จันทรโชติ อธิบดีกรมศิลปากร
อ่านรายละเอียดเพิ่มเติม
https://ratchakitcha.soc.go.th/documents/140D186S0000000001100.pdf
สำหรับ วัดปรินายกวรวิหาร เป็นพระอารามหลวงชั้นตรี ชนิดวรวิหาร สังกัดคณะสงฆ์ฝ่ายมหานิกาย ตั้งอยู่ในแขวงบ้านพานถม เขตพระนคร กรุงเทพมหานคร
เดิมวัดนี้ชื่อ วัดพรหมสุรินทร์ สร้างขึ้นในปี พ.ศ. 2353 (สมัยพระบาทสมเด็จพระพุทธเลิศหล้านภาลัย) โดย เจ้าพระยาบดินทรเดชา (สิงห์ สิงหเสนี) ขณะมีบรรดาศักดิ์เป็น พระพรหมสุรินทร์ จึงตั้งชื่อวัดตามราชทินนามในขณะนั้น
วัดได้รับการบูรณปฏิสังขรณ์ โดยผู้สร้างวัด ในสมัยพระบาทสมเด็จพระนั่งเกล้าเจ้าอยู่หัว หลังจากกลับจากราชการสงครามกับญวนที่เขมร แต่ไม่ทันสำเร็จ ก็ถึงแก่อสัญกรรมเสียก่อน
พระบาทสมเด็จพระนั่งเกล้าเจ้าอยู่หัว จึงโปรดเกล้าฯ ให้รับไว้เป็นพระอารามหลวง และสร้างต่อจนแล้วเสร็จ และพระราชทานนามใหม่ว่า วัดปรินายก เพื่อเป็นอนุสรณ์แด่ เจ้าพระยาบดินทรเดชา ซึ่งดำรงตำแหน่งสมุหนายก ณ ขณะนั้น คำว่า ปรินายก มาจากคำว่า ปรินายกรตน แปลว่า "ขุนพลแก้วคู่บารมีมหาจักรพรรดิราช"
เมื่อมีการตัดถนนราชดำเนินเมื่อ พ.ศ. 2442 (สมัยพระบาทสมเด็จพระจุลจอมเกล้าเจ้าอยู่หัว) เส้นทางของถนน ได้ตัดเข้ามาในพื้นที่ของวัดปรินายก ทำให้วัดต้องสูญเสียพื้นที่บริเวณวัดไปมาก พระบาทสมเด็จพระจุลจอมเกล้าเจ้าอยู่หัว จึงโปรดเกล้าฯ ให้สถาปนาวัดปรินายกใหม่ทั้งหมด
โดยสร้างพระอุโบสถใหม่ และนำใบเสมาจากพระอุโบสถเดิม มาประดิษฐานรอบพระอุโบสถใหม่ แม้จะเหลือพื้นที่เป็นวัดเล็ก ๆ แต่พระองค์ก็ได้พระราชทานใบเสมาคู่ จึงทำให้วัดปรินายก ยังคงมีสถานะเป็นวัดหลวงอยู่ วัดได้รับพระราชทานวิสุงคามสีมาใน พ.ศ. 2443
สำหรับ อาคารเสนาสนะ พระอุโบสถสร้างขึ้นประมาณปี พ.ศ. 2444 กรมศิลปากรได้ขึ้นทะเบียนเป็นโบราณสถาน ภายในประดิษฐาน พระสุรภีพุทธพิมพ์ พระพุทธรูปฝีมือช่างสุโขทัย หน้าตัก 3 ศอกคืบ 4 นิ้ว เจ้าพระยาบดินทรเดชา (สิงห์ สิงหเสนี) อันเชิญมาจากที่ไหนไม่ปรากฎ
ศาลาการเปรียญ เป็นตำหนักของพระราชวงศ์ เป็นของเก่าในสมัย พระบาทสมเด็จพระจุลจอมเกล้าเจ้าอยู่หัว ซ่อมปรับปรุง พ.ศ. 2497 หอระฆังในวัดสร้างเมื่อ พ.ศ. 2464 วัดมีสำนักวิปัสสนากรรมฐาน ประกอบด้วยเรือนไม้หลายหลัง มีกุฏิสงฆ์จำนวน 18 หลัง
ขอบคุณข้อมูลจาก : วิกิพีเดีย