อัปเดตพายุ "ซูเปอร์ไต้ฝุ่นซินลากู" ถล่มญี่ปุ่น ส่วนไทยรอรับพายุฤดูร้อน
14 เม.ย. 2569

อัปเดตพายุ! "ซูเปอร์ไต้ฝุ่นซินลากู" แรงระดับ 5 ถล่มญี่ปุ่น! ส่วนพี่ไทยเตรียมรับมือพายุฤดูร้อน! เช็กพิกัดด่วน! ภาคเหนือตอนล่าง-กลางตอนบน-อีสานตอนบน
ข่าว
14 เม.ย. 2569

อัปเดตพายุ! "ซูเปอร์ไต้ฝุ่นซินลากู" แรงระดับ 5 ถล่มญี่ปุ่น! ส่วนพี่ไทยเตรียมรับมือพายุฤดูร้อน! เช็กพิกัดด่วน! ภาคเหนือตอนล่าง-กลางตอนบน-อีสานตอนบน
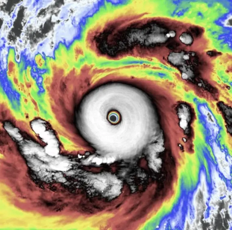
14 เมษายน 2569 อัปเดตพายุ เส้นทาง “พายุไต้ฝุ่นซินลากู” ที่กลายเป็น "ซูเปอร์ไต้ฝุ่นซินลากู" แรงระดับ 5 ช่วงวันที่ 15-16 เม.ย. ทำให้ฝนตกเล็กน้อยที่โตเกียว และเมืองใกล้เคียง โดยพายุไต้ฝุ่นซินลากูเคลื่อนที่ไปทางทิศตะวันออก ทำให้ฝนตกในทะเลทางตะวันออกของญี่ปุ่น
ทั้งนี้ พายุลูกนี้ จะไม่มีผลต่อไทย โดยในไทย 14 – 15 เม.ย. 69 จะมีอากาศร้อนถึงร้อนจัดโดยทั่วไป โดยเฉพาะอย่างยิ่งในภาคเหนือ
ส่วนวันที่ 16 - 20 เม.ย. 69 มีพายุฤดูร้อน ฝนฟ้าคะนอง ลมกรรโชกแรง ฟ้าผ่า และลูกเห็บตก ในบางพื้นที่เป็นหย่อมระดับอำเภอ ของภาคเหนือตอนล่าง ภาคกลางตอนบน และ ภาคอีสานตอนบน
สำหรับภาคใต้ ยังคงมีฝนฟ้าคะนองบางแห่ง โดยมีอากาศร้อนในตอนกลางวัน
สำหรับ พายุไต้ฝุ่นซินลากู (#04:Sinlaku=เทพธิดาไมโครนีเซีย) ก่อตัวในมหาสุมุทรแปซฟิกตะวันตกเป็นพายุลูกที่ 4 ของปี 2569 เคลื่อนที่ขึ้นเหนือ และเลี้ยวไปทางตะวันออก ในทะเลทางตะวันออกของญี่ปุ่น
13-14 เม.ย. เพิ่มกำลังแรงขึ้นเป็นพายุซุปเปอร์ไต้ฝุ่นระดับ 5 (สูงสุด) อยู่ในทะเลทางตะวันออกเฉียงใต้ของประเทศญี่ปุ่น
15-16 เม.ย. ทำให้ฝนตกเล็กน้อยที่โตเกียวและเมืองใกล้เคียง
21 เม.ย. สลายตัวในทะเล ทางตะวันออกของญี่ปุ่น
ข่าวล่าสุด