
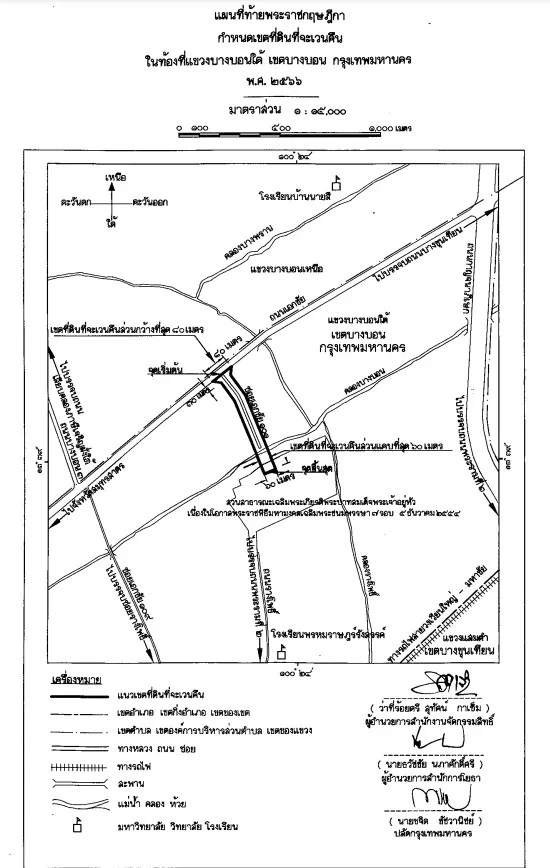
เว็บไซต์ราชกิจจานุเบกษา เผยแพร่ พระราชกฤษฎีกา กำหนดเขตที่ดินที่จะเวนคืน ในท้องที่แขวงบางบอนใต้ เขตบางบอน กรุงเทพมหานคร พ.ศ. 2566 เพื่อสร้างและขยายทางหลวงท้องถิ่น สายซอยเอกชัย 101
สำหรับเหตุผลในการประกาศใช้พระราชกฤษฎีกาฉบับดังกล่าว เนื่องจากมีความจำเป็นต้องสร้างและขยายทางหลวงท้องถิ่น สายซอยเอกชัย 101 ในท้องที่แขวงบางบอนใต้ เขตบางบอน กรุงเทพมหานคร เพื่ออำนวยความสะดวกและความรวดเร็วแก่การจราจรและการขนส่งอันเป็นกิจการสาธารณูปโภค และเพื่อนำที่ดินไปชดเชยให้เกิดความเป็นธรรมแก่เจ้าของที่ดินที่ถูกเวนคืน
สมควรกำหนดเขตที่ดินที่จะเวนคืนในท้องที่ดังกล่าว เพื่อให้พนักงานเจ้าหน้าที่มีสิทธิเข้าไปทำการสำรวจ เพื่อให้ทราบข้อเท็จจริงเกี่ยวกับอสังหาริมทรัพย์ที่ต้องได้มาโดยแน่ชัด จึงจำเป็นต้องตราพระราชกฤษฎีกานี้