
นายศรีสุวรรณ จรรยา นายกสมาคมต่อต้านสภาวะโลกร้อน เปิดเผยว่า ตามที่ศาลปกครองกลางได้มีคำพิพากษาเพิกถอนใบรับหนังสือแจ้งความประสงค์จะก่อสร้าง ดัดแปลง รื้อถอน หรือเคลื่อนย้ายอาคาร หรือเปลี่ยนการใช้อาคาร โดยไม่ยื่นคำขอรับใบอนุญาต ที่ออกให้แก่บริษัท อนันดา เอ็มเอฟ เอเชีย อโศก จำกัด หรือบริษัท อนันดา ดีเวลลอปเม้นท์ ทู จำกัด โดยให้มีผลย้อนหลังถึงวันที่ออกหนังสือทุกฉบับในกรณีดังกล่าวนั้น
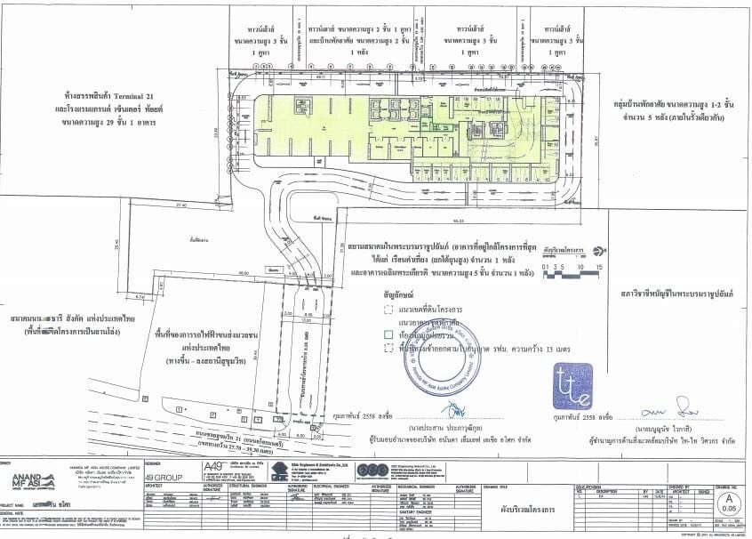
ทั้งนี้สืบเนื่องมาจากสมาคมต่อต้านสภาวะโลกร้อนร่วมกับชาวบ้านในพื้นที่ถนนสุขุมวิท ซอย 19 แยก 2 เขตวัฒนา กทม. จำนวน 16 คน ได้ยื่นฟ้อง ผอ.สำนักงานเขตวัฒนา ผอ.สำนักการโยธา กทม. ผู้ว่าการ กทม. ผู้ว่าการการรถไฟฟ้าขนส่งมวลชนแห่งประเทศไทย (รฟม.) และคณะกรรมการผู้ชาญการพิจารณารายงานผลกระทบสิ่งแวดล้อมด้านอาคาร การจัดสรรที่ดิน และบริการชุมชน เป็นผู้ถูกฟ้องที่ 1-5 ต่อศาลปกครองกลางมาตั้งแต่วันที่ 2 มิ.ย.2559 ฐานใช้อำนาจโดยมิชอบด้วยกฎหมายด้วยการอนุญาตให้ บจก.อนันดา เอ็มเอฟ เอเชียอโศก ดำเนินการก่อสร้างโครงการอาคารชุดที่พักอาศัยแอชตัน อโศก ซึ่งเป็นอาคารสูงขนาดใหญ่พิเศษ ขนาดความสูง 50 ชั้น ชั้นใต้ดิน 1 ชั้น ในพื้นที่ขนาด 2 ไร่ 3 งาน 47.6 ตร.ว. ในซอยสุขุมวิท 19 แยก2 โดยไม่ชอบด้วยกฎหมาย
เนื่องจากที่ดินดังกล่าวมีด้านที่ดินถนนสาธารณะเพียง 6.40 เมตรเท่านั้น ไม่ถึง 12 เมตรตามที่กฎหมายกำหนด แม้จะขอเช่าจาก รฟม.เพิ่มอีก 6.60 เมตร แต่ก็หาใช่ที่สาธารณะไม่
ทั้งนี้ ศาลปกครองกลางได้วินิจฉัยว่า ที่ดินที่ใช้เป็นที่ตั้งของอาคารโครงการแอชตัน อโศก ไม่มีด้านหนึ่งด้านใดของที่ดินยาวไม่น้อยกว่า 12 เมตร ติดถนนสาธารณะที่มีเขตทางกว้างไม่น้อยกว่า 18 เมตร ยาวต่อเนื่องกันโดยตลอดจนไปเชื่อมต่อกับถนนสาธารณะอื่นที่มีเขตทางกว้างไม่น้อยกว่า 18 เมตร ตามที่กำหนดไว้ในข้อ 2 วรรคสอง ของกฎกระทรวง ฉบับที่ 33 (พ.ศ. 2535) ออกตามความใน พ.ร.บ.ควบคุมอาคาร พ.ศ.2522
การที่ผู้อำนวยการสำนักการโยธา ปฏิบัติราชการแทนผู้ว่าราชการกรุงเทพมหานคร อนุญาตให้บริษัท อนันดาฯ ทำการก่อสร้างและดัดแปลงอาคารโครงการแอชตัน อโศก ที่ถนนสุขุมวิท 21 แขวงคลองเตยเหนือ เขตวัฒนา กรุงเทพฯ จึงเป็นการกระทำที่ไม่ชอบด้วยกฎหมาย ศาลจึงพิพากษาให้เพิกถอนหนังสือรับแจ้งการก่อสร้างอาคารพิพาททุกฉบับโดยให้มีผลย้อนหลังไปถึงวันที่ออกคำสั่งดังกล่าว เพื่อมิให้คำสั่งดังกล่าวมีผลในระบบกฎหมายต่อไป
"กรณีดังกล่าวแม้อาคารคอนโดแอชตัน อโศก จะก่อสร้างเสร็จไปนานแล้ว มีการขาย การโอนให้กับผู้จองซื้อ และมีคนย้ายเข้าไปอยู่อาศัยกันกว่า 83% แล้วก็ตาม แต่กฎหมายต้องเป็นกฎหมาย ผู้ซื้อจะต้องไปไล่เบี้ยเอากับผู้ขายกันเอาเอง ส่วนสมาคมฯจะต้องนำคำพิพากษาไปดำเนินการเอาผิดกับข้าราชการทุกคนที่ใช้อำนาจโดยมิชอบด้วยกฎหมายในกรณีนี้ต่อไป โดยเฉพาะฝ่ายโยธา กทม. และผู้บริหาร รฟม." นายศรีสุวรรณ กล่าวในที่สุด